レポート:フィールドモニター 二上あや
お正月ムードも抜けた1月下旬、千葉県南房総市乙浜港から美味なターゲットを狙う船釣りへ出掛けた。総勢6名で一隻を貸し切り、船を仕立てた。当日はいずれも美味なヤリイカとオニカサゴをリレーで狙う豪華な献立。
乗船した有希丸は、舘山道富浦インターチェンジから30分ほどの乙浜港から出船する。船に車を横付け出来るので、重いオモリの釣りも楽に荷物の積み下ろしが出来るのは嬉しいですね。
6時集合に仲間が港に集まってくる。軽トラから船長が顔を出して頂き、QRコードを読み込み、【乗船名簿クラウド】と言うサービスからだと数秒で有希丸へのチェックイン完了。スマホが苦手な方には、勿論紙ベースでも乗船名簿が記入出来ますよ。
️まずはヤリイカ釣りから。ボトムメインの150m指示。イカの反応は出ているものの、ノリが悪く皆苦戦する中、友人が釣り上げた。私も続けと懸命にしゃくりを変えたり落とし直したりしていると、ボトムでやっとアタリ。船上に仕掛けをあげてみるとイカは不在。結局釣りあげる事は出来なかった・・・
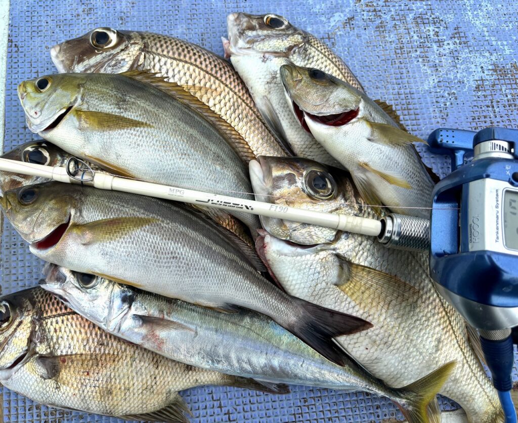
気を取り直し、船は少し走って水深145mのオニカサゴポイントへ移動。ボトムへ着いたらゆっくりとしゃくり上げ、ゆっくりと下ろし誘いを入れる。

【使用タックル】
ロッド:HB(ハイパーブレード) AKAMUTSU 195
リール:3000番代電動リール
ライン:PE4号
魚を浮かせるパワーと操作性のあるHB AKAMUTSU 195は、途中強い引きを見せるオニカサゴもMPGのしなやかさでいなしていく曲がりが楽しい。

仕掛けは、幹糸8号2本針1.5mにオモリ150号。マシュマロボールにタコベイトを切って仕掛けへ付ける。ボトムで上を向いてるオニカサゴにふわふわさせながらアピールをする。仕掛けをふわっと魚の目の前へ落としたところに喰いつかせるイメージ。
しゃくり上げ、そして下ろすと何か違和感がある。底をトントンと確認すると、ガツガツと魚信が到来。すぐに合わせを入れずしっかりと喰ったところで聞き合わせると魚が乗った! 電動リールのスイッチをオン。重みを感じながら巻き上げるとグングンと良い引きが! これは本命を期待出来る! 巻き上げも楽しい。残り5mで手巻きで引き寄せると、水面下に赤い影が見え、本命オニカサゴが上がった。

次のポイントに入り追加を狙っていると、着底後すぐにアタリが! これも良いかも知れないと思いながら、水面に現れたのは、ウッカリカサゴとオニカサゴのダブル!

そして、次のアタリはオニカサゴのダブル!



冲上がり直前にもう1匹オニカサゴと、良い釣果となった。

釣り船:有希丸(ゆうきまる) 千葉県南房総市 乙浜港

レポート:フィールドモニター 二上あや
●恵津丸でキンメ釣り
12月初旬、千葉県南房総市乙浜港へ出掛けた。同地では高級魚キンメダイ釣りがハイシーズンを迎えている。良い日に当たれば定数40尾も釣れる事もあると聞き、否が応でも期待が膨らむ。

舘山道、富浦インターから30分。千葉県は南房総市乙浜港 恵津丸(えつまる)さんへ乗船した。
到着時刻は15時半。既に釣り人が集まり賑わっていた。座席は満員御礼、夜キンメダイ釣りはシーズン限定で釣果が期待される為、人気がある。
船釣りと言えば、出船時間の関係で寝不足になる事が多いのだが、夜キンメダイ釣りでは前日の夜はしっかりと睡眠が取れて渋滞もあまりない時間に走行し、出船も16時過ぎと、体に優しく無理せず楽しめる釣りだ。
当日のタックル

当日はキンメの多点掛けを狙う。そのため、しなやかさとパワーを両立したロッドをセレクトした。
・使用タックル
ロッド:HB AKAMUTSU 195
リール:3000番台電動リール
ライン:PE4号300m
・仕掛け・・・以下の面で2通り用意しました。
幹糸22号10本仕掛け4.4m
※仕掛けが短い分裁き易く、幹糸が太い為お祭りをほどきやすい利点と、棚が分かれば枝間が短い為、お宝ザクザクとなる。
幹糸7号8本仕掛け7m
※仕掛けが長い分、幅広く喰い棚を探れるのと、上記仕掛けより比較的安価で手に入れられる
オモリ:150号
静かな立ち上がり
小春日和の夕刻、釣友と港へ到着。恵津丸の女将さんが軽トラを港へ付けて、順番に乗船名簿を記入。代金を支払うと釣座を指定されるので、荷物を船へ運ぶ。当日は中乗りさんが乗船していたので、座席まで荷物の運搬を手伝っていただいた。

16時過ぎに出船。ポイント迄夕日の綺麗な海を眺めて進む。日があるうちは、クロムツメインで狙う模様。フラッシャーサビキの仕掛けの下4本にサバエサをセット。ポイントへ到着したが、船長は反応が全く出てないとの事。
今日はバリバリ喰いの立つ日ではないのか?しっかりと拾い釣りをしていくのかなと考えていると、後ろや隣や私の仕掛けをサバが絡ませて、お祭り騒ぎ。そんな事が続き釣りにならない時間が過ぎてく。
️上目のタナで本命キンメダイ!

明るいうちはクロムツメインで、ボトム付近を探るが、日が暮れて暗くなりミヨシの方が本命を釣り上げた。やる気スイッチオン!船長からはボトム指示だが、上棚迄探って見ることにした。底取りから1メートル、2メートル、3メートルと待ちを入れながら探ると、3メートルでガグガクと竿先から魚信。

サバも見えるため、追い食いは期待せずに一尾づつ丁寧に取り込みをするようにと船長からのアナウンス。HB AKAMUTSU 195から魚の確信を伝えられ、柔らかく竿が曲がり、時折見せる引きを見てはワクワクが止まらない。

どうにか取り込んだのは、本命のキンメダイ!小さくても良く引いた嬉しい本命!今日は全く反応無いと嘆く船長ですが、船中ポツンポツンとたまに上がってる様子。
スミヤキ混じりでキンメ拾い釣り
先程の投入で反応のあった上棚3〜4mを探ると、今度は4メートルで反応有り。大事に巻き上げるとキンメとスミヤキのダブル。スミヤキが活発で、本命との釣り分けも出来ず難しい状況。

時折現れる本命に喜びながらも、20時過ぎた所で終わりの合図。残念ながらキンメでクーラーを赤くする事は出来なかったが、厳しい状況でもどうにかツ抜けは出来た。ゲストはクロムツ2尾にスミヤキ5尾。暴れん坊のサバは私にはかからなかった

船長に伺うと2月位までは、出船する予定との事。まだまだ高級魚乱舞のチャンスはありそうなので、是非出掛けて頂けたらと思う。

レポート:フィールドモニター 二上あや
先月から気になってたシマアジ五目へ出掛けて来ました!

5時前には出船するので、少し離れた宿で席札を取ってから、港へ向かいます。
まだ夜の明けぬ港は暗く、出船を待つ釣り人と船、そして居付きのネコが静かにこれから迎える朝を待っています。
やがて中乗りさん到着。
皆さんにご挨拶され、出船準備をされてます。その横には準備の終わった釣り人が乗り込みを待っています。
私は右ミヨシ2番目の席札でした。

出船準備ポイント迄は20分位で、近いのは魅力です!
中乗りさんに伺うと、仕掛け2.5mでクッションを考えないで言うと、ビシの位置は下から3〜4mがあたりが多く出るとのこと。船長の合図で釣りがスタートします。
コマセを振り魚信を待ちますが、モーニングサービスどころかアタリがさっぱり無く、暫らく我慢の釣りでしたが、8時前に船内でアタリが出始めます!
カジメが生えていたり、根があるポイントなので、着底したら素早く2m巻きそこからコマセを振り、棚3〜4mを重点的に探り、5m迄探る。

しゃくるなどのコマセワークでの 扱いやすさと、いつ何時やってくるかも知れないシマアジチャンスにはShibukiF191 のバラシにくさが発揮されるはす!
待望のアタリ!めちゃくちゃ元気に引き、巻き上げ途中にも引き込みをみせ、本命かもとワクワクしていたけど色が違う…。
メイチダイの登場。

小さいエソ、ハコフグ、ムロアジ、イサキと気がつくと5目達成。

ソーダが回ってきたようでしたので、6目目指して高棚、底から10mで待ってみても反応イマイチ無し。唯一高棚での可愛らしいアタリはまたもハコフグで不発。
イサキのダブルを追加して、終了の時間となってしまいました。

当日、本命シマアジは2隻とも型見ずとなり、今後に期待します!

【釣行データー】
釣行日:2025年10月12日
釣り船:安田丸(千葉県館山市 相浜港)
ロッド:MPGシブキF191
リール:1000番クラス電動リール
ライン:PE4号
レポート:フィールドモニター 二上あや
お友達からイカを釣ってみたいのイカへのラブコールを受けて、スルメイカが良さそうなのでイカ釣り名人の松本さんにもお手伝い頂き、出掛けて来ました。

4時過ぎに港へ到着すると、釣り人たちが用意を始めています。
私はスルメイカ船はかなり久しぶりですが、美味しい釣りたてイカを食べたい!の気持ちで臨みます!
5時前には出船。まだ真っ暗な海を疾走します。ポイント迄は30分程度で到着。

船長の合図があり、釣りスタートです。
まずはイカ釣り始めてのお友達にレクチャーしてから、私も釣りを始めました。
オモリは180号、水深150m。
着底を確認、糸ふけを取ったら目線より上までしゃくりあげ誘います。
リールを巻きながら竿先を下げ、またしゃくりあげるを繰り返し、イカがいる棚を探ります。中乗りさんからボトム付近が良いと聞き、3m位までを重点的に調べることにしましたが暫しアタリなく、たまに船内で上がる程度…。懸命にしゃくりますがイカの応答なく‥。
期待し続け意気盛んにしゃくっていると、やっとその時が来ました!
違和感を感じもう一度しゃくると、竿が曲がります!
海人スルメイカは、大型多点掛けも対応する頼もしさがあり、もちろん追い乗り大歓迎なので、手巻きでグリグリと巻きながら貪欲に追加を待ちますが、多点掛けの気配が無かったので、単発で巻き上げる事にしました。
時折みせる強い引きに、バレるなバレるなと海人スルメイカのしなりを頼りに願いを込め、徐々に上がって来ます!
良型のスルメイカが船縁から見え、慎重かつ的確に取り込もうと、焦らずテンションを緩まぬようにし、本命スルメイカが取り込まれました!

釣りに出掛けて沢山釣れるのも嬉しいのですが、厳しい時こそ手にした魚は喜びが大きいです!

イカ釣り始めてのお友達も、海もイカのご機嫌も厳しい中で、ミッションコンプリート!当日の船全体釣果はかなり厳しめでしたが、内容の濃い釣行となりました。沖干しもご厚意で頂き、ご縁に感謝した釣行となりました。

【釣行データー】
釣行日:2025年9月27日
釣り船:千葉県 勝浦松部漁港 和八丸
ロッド:海人スルメイカ180-150
リール:500番台電動リール
レポート:フィールドモニター 二上あや
連日猛暑の続く真夏、ロックも良い時期かなと思い出掛けて来ました。
4時45分集合、5時には出船です。

本日は米良のポイント迄走るよ〜と船長。白浜から走る事2•30分。
さあ!釣り開始です!
ロックは久しぶりでワクワクの第一投。
本日は横流しで操船するよと、船長。
本日は凪。船はあまり動いていない様子。船に動きがあれば、真下に落としてもチャンスはあるかもしれないのですが、本日は潮の動きが鈍めなので遠投して探る事とします。

張りのあるブランクの海人テンヤマダイ230MHはキャストするのもやり易いから遠投はお手のもの。
狙った辺りまで仕掛けを飛ばし、着水したら糸がソロソロと出てボトムを確認しました。
この感触が久しぶりだなと、ボトムから伝わる情報、例えば砂地からツブ根からゴツゴツしたまさにロックという場所なのか、竿から伝わる手の感触で確認します。
すると小さなアタリが!ビシッと合わせが決まりましたが軽い‥
可愛いカサゴの登場です!

可愛いサイズとは言え、あたりを感じてから合わせて釣る釣りは楽しいなと、
探り続けるとヒット!
先程より重みをしっかり感じ、これは良いのかもと期待値高めに巻いていると本命アカハタの登場!!

今年初のアカハタは、やはり綺麗なオレンジでした。

その後、潮が流れない状況は続き、エサ部隊の私は、ウマヅラやアカメフグなどの餌取りに遊ばれ、同船のワーム勢が本命を出していて、ワームやジグが当日は良いようでした。

南房総のロックはまだまだこれからの時期も楽しめますし、狙い方もお好みで楽しめますので、是非足を運んで頂けたら嬉しいです!


ロッド:海人テンヤマダイ230MH
リール:テイルウォーク スピーキー3000S XGX
釣り船:千葉県南房総市 乙浜港 有希丸
レポート:フィールドモニター 川添法臣

こんにちは、フィールドモニターの川添法臣(かわぞえ のりおみ)です。
今年はどうやらイサキの“アタリ年”のようで、どこの港でも良型がコンスタントに釣れていて、持ち帰りの規定数(バッグリミット/多くの港では50匹)いっぱいまで釣るアングラーが例年以上に見受けられます。
そんななか「洲崎のイサキが港前で釣れ始めた」との情報をキャッチ。さっそく洲崎・佐衛美丸さんを訪ねました。

今回持ち込んだのは「kaijin マダイ ゲーム 210/FSL」。
私が使っているのは一世代前の青いブランクモデルですが、現在の仕様では「215/FSL」と5cm長く、黒とシルバーを基調とした渋みのある落ち着いた外観になっています。
FSLは“フルソリッド”の略称で、GSSカーボンソリッド(無垢のカーボンブランク)を採用したバットジョイントモデル。反発が強すぎず、粘りのある特性が魅力で、60号のプラビシを使用するLTコマセマダイにはぴったりの仕様となっています。
実はこの竿、深場や潮の速いエリアで150〜200gのヘッドを使うタイラバにも相性が良く、御前崎や太東沖でのタイラバでは速潮対策として“必ず持っていく一本”になっています。

今シーズンのイサキはタナさえ合っていれば十分釣れますが、洲崎でも効率よく数を伸ばすには、いくつかのコツが必要だと感じました。
その一つが「追い食い」、もう一つが「効果的なコマセの撒き方」でした。

今回お世話になった佐衛美丸さんでは、指示ダナで仕掛けを止め、群れを寄せて釣るスタイルが基本です。そのため、シャクって泳層を探るタイプの8:2〜7:3調子の竿よりも、6:4調子の「kaijin マダイ ゲーム 215/FSL」のほうが追い食いをさせやすく、私はお気に入りになっています。
また30cm以上の良型が多い今シーズンにおいて、ハリスを太くするとアタリが減ってしまうジレンマにもFSLの柳腰がきっちり仕事をしてくれます。数釣りが醍醐味のイサキ釣りで、釣趣と機能性が絶妙のバランスで楽しめるのが特長です。

続いて「コマセの撒き方」について。
コマセというと、遠くの魚を船の下へ呼び寄せるために撒くと思われがちですが、実際には「魚を船の下に留めること」と「自分の仕掛けに口を使わせること」が主な目的となります。
船長が魚群の上に船を止めてくれているので、釣り人が撒くコマセは、いかに“タイミングよく”撒くかが勝負になります。私が意識しているのは、「投入直後」「アタリを待っている間の“ここぞ”という瞬間(※100%勘頼り)」「魚が掛かったタイミング」の3点です。
特に魚が掛かったタイミングで竿先を軽く煽ってコマセを振り出すと、効率よく追い食いを誘発する場面がたびたびありました。

この日は、船中の約4割の方が規定数の50匹を釣り上げる好釣果となりました。サイズも良型揃いだったこともあり、ほとんどの釣り人がクーラーボックス満タン。イサキの最盛期突入を実感する一日でした。
ぜひ、各港、各船長の“釣らせるスタイル”にマッチした竿をアルファタックルからチョイスして、旬を迎えたイサキ釣りの釣味と味覚を存分にお楽しみください!

▼タックルデータ
リール:小型両軸リール
道糸:PE2号
コマセビシ:60号
仕掛け:船宿仕掛け(ハリス1.7号/全長3m)
▼船宿:佐衛美丸 千葉県館山市 洲崎港
レポート:フィールドモニター 二上あや
今回も狙うは冬の美味しい魚。
千葉県勝浦から、オニカサゴにヤリイカのリレー船に乗りました。

ポイントに到着すると、150m海底付近にヤリイカ が居ると船長のアナウンス。
プラヅノ11cmのブランコ仕掛けを落としますが、鯖の厚い層が40〜50m、70〜80m、100m、ボトムの150mと幾重もの層になっており、どうにもこうにも鯖アタックされて何度落とせど底には到底着きません。
しかしヤリイカは底にしか居ないので、サバに負けずに落とし、やっとの思いで着底成功!
誘いを掛けると何やらイカの気配。
ショートアームGS82-165Hで、誘ってからピタっと止めると、イカのお触りが!合わせを効かせるとズン!と、乗りました。この厚い厚い鯖の層を掻い潜りやっとヤリイカが釣れました!

その後直結に変更し、着底迄はサバを避ける事は出来たのですが、ボトムでイカを乗せても巻き上げ途中に必ずサバアタック! 直結ではイカを取り込めないままオニカサゴポイントへ移動となります。
勝浦方面へ戻りオニカサゴ釣りスタート!

ロッドをHB AKAMUTSU 195に持ち替えます。
オニカサゴのようなボトムでの根確認、根歩き、ゆっくり誘いあげる等の操作がし易く軽量なので、私はオニカサゴ釣りでもHB AKAMUTSU 195を使用しています。そしてアタリを出す事が出来ました!
程なく綺麗な色のアカイサキが登場!

次にゴンゴンと良いアタリ!
魚がかかりロッドがしなやかに曲がり、引きを楽しみながら上がって来たのは・・・

赤い魚体ではありましたがカサゴ違いのウッカリカサゴ。
本命は残念でしたが、ユメカサゴも釣れて、ゲストフィッシュに恵まれた釣行となりました。

【釣行データー】
釣行日:2025年2月22日
タックル:
ヤリイカ用/ショートアームGS82-165H+1000番台電動リール
オニカサゴ用/HBアカムツ195+500番台電動リール
釣り船:千葉県 勝浦川津港 基吉丸(もときちまる)

レポート:フィールドモニター 川嶋正嗣
久しぶりにマハタ狙いに行ってきました。

徐々にですが、春の到来を感じるようになってきましたが、当日は寒波の影響で寒く、やはりまだまだ防寒対策はしっかりとやらなければなりません。
今回お世話になったのは、洲崎港「第二美吉丸」さんです。房総半島では、マハタ狙いの船もぼちぼちありますが、当店のお客様の常宿という事もあり、のんびり出来るのと、あわよくば、大型のマハタが狙えるので、ここ数年利用させていただいています。
今回は釣り仲間4名、その他のお客様2名の計7名でのチャレンジです。当日は風も弱まり、ベタ凪。南房辺りは前日は出れたけどシケ気味、翌日は出船中止が既に決定済みとの事。
釣り回数が減っている私にとって、運が良いです。そんな運も味方して、釣果も、、、
3kgオーバーを釣り上げ、ゲストも色々楽しめました。


良型カンコやキントキ、マトウやほぼ本命のホウキハタなども船中上がっていました。

今回も使用タックルはシブキR231。
他社にも似たロッドはあると思いますが、しなやかな穂先、穂持ち、良型の引きをしっかりと受け止めてくれるところが気に入っています。カーボンロッドやグラスソリッドロッドですと、どこかは良いが、どこかがイマイチと思い、このロッドが気に入っている理由です。
マハタ釣りは一か八かという面もありますが、根魚五目的な要素もあり、お土産は確保出来ると思います。もうすぐ終盤になりますので、お早めの釣行を計画して下さい。
レポート:フィールドモニター 二上あや
2025年初釣りは、南房へ。
美味しそうなお魚を釣りに行ってきました。
釣り船は鴨川・太海港の聡丸さん。
ここではフラッシャーサビキでクロムツ本命&他にも美味しいゲストフィッシュも狙える五目釣りをさせてくれて、さらにアマダイまでリレーする魅力的な釣りです。

深夜なのか早朝なのか・・・、AM2時には受付・出船となります。
ポイントまでは30分程度、船宿特製フラッシャーサビキ仕掛けに200号の錘を付け、指示棚160〜180mの中で、魚が喰うタナを探ります。今回使用したロッドはHB(ハイパーブレード)アカムツ195。
早々に、170メートル付近で当たり出てるよ!とアナウンス。私も175mでガグガクと竿先が震えてます!しかし巻き上げ途中で、オマツリトラブル多発、何投目かでどうにかゲストフィッシュが上がってきました!
東の空が白み始め、クロムツ狙いの150号に変更。
水深120m前後,ボトムから5mまで探ります。根掛かりもあるとの事なので、底立ちをとったらすぐオモリを海底から離し、1mずつ食い棚を探ります。底から2mのところでガガガッと竿をたたくようなアタリが!

HBアカムツ195がしなやかに曲がり、確かな魚の引きにワクワクしながら巻き上げると、本命クロムツとご対面!
やがて日も昇り切り、クロムツタイム終了。アマダイへ移動。

SHIBUKI F 221に持ち替え、オモリ80号でアマダイを狙います。
水深120m、着底後にオモリをトントン1m巻いてからゆったり誘い上げると、アタリ!
めちゃくちゃ元気に引くので、本命じゃないかな?と上がって来たのは良型キダイ!嬉しいゲストです。

船内ではアマダイがポツポツ上がりますが、小1時間でタイムアップ。
アマダイは残念でしたが、食べて美味しい魚の釣果となりました。
【タックル】
●ムツ
ロッド:HB アカムツ 195
リール:D社電動リール 500番
ライン:PE4号
仕掛け:フラッシャーサビキ
●アマダイ
ロッド:MPG SHIBUKI F221
リール:S社電動リール 400番
ライン:PE2号
釣り船:千葉県鴨川市 太海港 聡丸
レポート:二上あや
南房のロックフィッシュといえば、例年10月までが最盛期というイメージでしたが、今年は秋になっても暑い日が続き、まだいけるのでは?と思い南房・有希丸の船長さんに連絡してみました。すると、出船するとのことで友人と出かけてきました。

同船の方がコマセでイサキをやるとの事で、私達も急きょバチコンにチャレンジすることに。バチコン仕掛けにはワームでなく、オキアミを付けてボトムまで落とします。着底後に巻き上げ始めると、もう魚が乗り早々に本命イサキが!
しかし後が続かず、コマセ組も沈黙が続きますが、突然沈黙を破り、魚が乗りました! なんだなんだと思いつつ引きを楽しみながら上がって来たのは、メイチダイ!

その後間もなくメイチダイをもう一枚追加しますが魚の反応が薄くなりすぎて、ロックフィッシュにチェンジ!
テンヤは8号で様子を見つつスタートしますが、着底分からず、12号へチェンジ。普段は遠投して手前に寄せつつ広範囲に根を探る事が多いのですが、今回は底潮がとてつもなく早く着底が分かりづらい。
12号でも落としたままだど、どこまでも仕掛けが流されてしまうので、落とす時間をカウントしつつリールのベールを返し着底の確認を徹底。ロックに隠れてる魚達を釣るには、激早潮の中で、いかに仕掛けをボトムに沿わせられるかが本日の課題のようです。
底が取れたので海人テンヤマダイで根を感じつつ探ると、何か違和感を感じて竿をあおると瞬時に合わせが決まった! 本命アカハタ!!

根だか魚かわからなくても、少しでも違和感あったら、とにかく合わせる!のが私のモットーです。



今年はカサゴが少ないようで、竿曲げたらアカハタという展開で、順調に数を伸ばしすことが出来、つ抜けに成功!!

私の今シーズンのロックフィッシュはこれにて終わりとして、また来シーズンも楽しみたいと思います。
【釣行データー】
釣行日:2024年11月23日
ロッド:海人テンヤマダイ230MH
リール:テイルウォーク スピーキー3000S-XGX
釣り船:千葉県南房総市 有希丸